16313 - Tallinn/ LORD

  • Возраст: 9 лет
  • Пол: m
  • Размер: большая
  • Поступление в приют: 28.08.2014
  • Место отлова: Pärnu mnt
  • Уехал/а: к хозяевам обратно, 11.09.2014
  • Кастрирован: нет
  • Дополнительная информация:
    01.09.2014
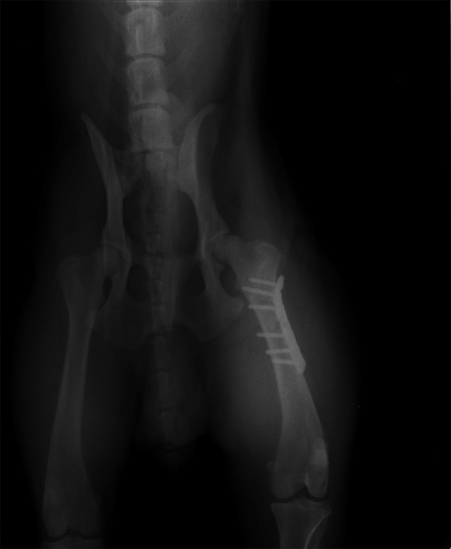
    Tehtud ortopeediline op Hoiuaiga Kliinikus. Kõik on korras. Käpp pareneb!
    ---
    Tagumise käpa luumurd.
  • 16313 - Tallinn/ LORD
  • 16313 - Tallinn/ LORD
  • 16313 - Tallinn/ LORD
  • 16313 - Tallinn/ LORD
  • 16313 - Tallinn/ LORD
  • 16313 - Tallinn/ LORD
  • 16313 - Tallinn/ LORD
  • 16313 - Tallinn/ LORD
  • 16313 - Tallinn/ LORD
  • 16313 - Tallinn/ LORD
  • 16313 - Tallinn/ LORD
  • 16313 - Tallinn/ LORD
  • 16313 - Tallinn/ LORD
  • 16313 - Tallinn/ LORD

Ваш комментарий на премодерации.

Комментарии

  1. Natalja 05.09.2014 23:11:07
    Skorejshego vizdorovlenija tebe, malish! I ochenj nadejusj, chto v skorom vremeni ti obretjosh ljubjashij dom!
  2. Света 29.08.2014 09:25:16
    бедняжка, наверное машина сбила