20076 - Keila vald/ GOSHKA

  • Возраст: 12 лет
  • Пол: m
  • Размер: маленькая
  • Поступление в приют: 14.03.2015
  • Место отлова: Klooga
  • Уехал/а: в новый дом, 13.04.2015
  • На день отъезда сидел/а в приюте: 31-й день
  • Кастрирован: нет
  • Дополнительная информация:
    18.03.2015
    Koer on opereeritud.
    ---
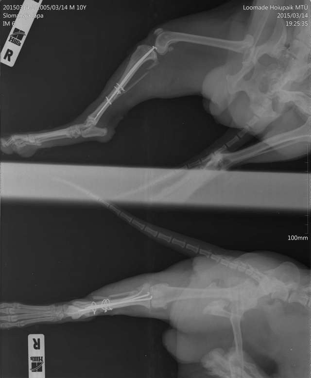
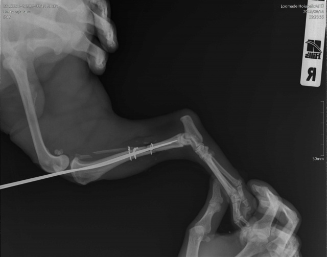
    Koeral kiip, andmed puuduvad registris.
    Tagumise käpa luumurd.
    VAJAME TEIE ABI!
    Koerake sattus varjupaika vigastatud käpaga. Ülevaatusel selgus, et koera käpal on mitmekordne luumurd. Pidime paigaldama ka kateetri, kuna ta ei saanud pissida (ilmselt autolöögist põhjustatud kusepõie atoonia).
    Homme opereerime. Palun aidake! Tema ravi ning rehabiliteerimine saab olema pikk ja raske.
    ---
    ПРОСИМ ВАШЕЙ ПОМОЩИ!
    Собака поступила в приют с множественным переломом ноги. Не могла пописать (видимо был удар машины и, как результат, атония мочевого пузыря). Нога в очень тяжёлом состоянии, и завтра мы кладём собаку на операционный стол.
    Просим вашей помощи, потому что операция и последующая реабилитация будут довольно сложными и долгими!
    saaja/получатель: MTÜ LOOMADE HOIUPAIK
    pank/банк: SEB EE151010220043748018 --- SWEDBANK EE772200221056134796
    makse selgitus/описание платежа: 20076
    или
    9006580 – €2 9006590 – €10
    PAYPAL: arve@pets.ee
  • 20076 - Keila vald/ GOSHKA
  • 20076 - Keila vald/ GOSHKA
  • 20076 - Keila vald/ GOSHKA
  • 20076 - Keila vald/ GOSHKA
  • 20076 - Keila vald/ GOSHKA
  • 20076 - Keila vald/ GOSHKA
  • 20076 - Keila vald/ GOSHKA
  • 20076 - Keila vald/ GOSHKA
  • 20076 - Keila vald/ GOSHKA
  • 20076 - Keila vald/ GOSHKA
  • 20076 - Keila vald/ GOSHKA

Ваш комментарий на премодерации.

Комментарии

  1. evelina 15.04.2015 08:48:13
    Какая хорошая новость. Счастья и тепла в новом доме
  2. Юлия 14.04.2015 15:37:34
    Гошечка!!! ура!!! тебя забрали в новый дом! ПОжалуйста пришлите фото как он там устроился и как его лапка!
  3. ALLA ADEJEVA 08.04.2015 20:14:55
    vyzdoravlivaj, Goshenjka. poslala tebe denezku.
  4. Светлана 29.03.2015 15:00:40
    Поправляйся сладкий малышок! Держу за тебя кулочки и перевела на твое выздоровление.
  5. marju 22.03.2015 13:30:21
    Raske operatsioon :( Kuidas koera seisukord on? Loomulikult aitan natuke omalt poolt
  6. Ещё