Твой звонок стоит денег — помощь неоценима.
Позвони и пожертвуй.
20076 - Keila vald/ GOSHKA
- Возраст: 12 лет
- Пол:

- Размер: маленькая
- Поступление в приют: 14.03.2015
- Место отлова: Klooga
- Уехал/а: в новый дом, 13.04.2015
- На день отъезда сидел/а в приюте: 31-й день
- Кастрирован: нет
- Дополнительная информация:
18.03.2015
Koer on opereeritud.
---
Koeral kiip, andmed puuduvad registris.
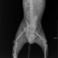
Tagumise käpa luumurd.
VAJAME TEIE ABI!
Koerake sattus varjupaika vigastatud käpaga. Ülevaatusel selgus, et koera käpal on mitmekordne luumurd. Pidime paigaldama ka kateetri, kuna ta ei saanud pissida (ilmselt autolöögist põhjustatud kusepõie atoonia).
Homme opereerime. Palun aidake! Tema ravi ning rehabiliteerimine saab olema pikk ja raske.
---
ПРОСИМ ВАШЕЙ ПОМОЩИ!
Собака поступила в приют с множественным переломом ноги. Не могла пописать (видимо был удар машины и, как результат, атония мочевого пузыря). Нога в очень тяжёлом состоянии, и завтра мы кладём собаку на операционный стол.
Просим вашей помощи, потому что операция и последующая реабилитация будут довольно сложными и долгими!
saaja/получатель: MTÜ LOOMADE HOIUPAIK
pank/банк: SEB EE151010220043748018 --- SWEDBANK EE772200221056134796
makse selgitus/описание платежа: 20076
или
9006580 – €2 9006590 – €10
PAYPAL: arve@pets.ee
Ваш комментарий на премодерации.
Комментарии
-
Какая хорошая новость. Счастья и тепла в новом доме
-
Гошечка!!! ура!!! тебя забрали в новый дом! ПОжалуйста пришлите фото как он там устроился и как его лапка!
-
vyzdoravlivaj, Goshenjka. poslala tebe denezku.
-
Поправляйся сладкий малышок! Держу за тебя кулочки и перевела на твое выздоровление.
-
Raske operatsioon :( Kuidas koera seisukord on? Loomulikult aitan natuke omalt poolt
- Ещё













